Proclamation under the Nature Conservation Act 2002
I, the Governor in and over the State of Tasmania and its Dependencies in the Commonwealth of Australia, acting with the advice of the Executive Council, by this my proclamation made under section 21(1) of the Nature Conservation Act 2002 declare that
17 December 2012(a) any land within the area of land specified in Schedule 1 to this proclamation, being an area of land at Badger Head that is reserved land within the meaning of that Act, ceases to be reserved land; and(b) this proclamation takes effect on the day on which its making is notified in the Gazette.
PETER G. UNDERWOOD
Governor
By His Excellency's Command,
BRIAN WIGHTMAN
Minister for Environment, Parks and Heritage
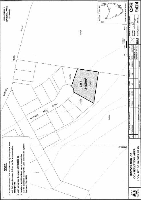
SCHEDULE 1 - Revocation of Reserved Land at Badger HeadAll that area of land comprising 2 160 square metres, shown as Lot 1 and bounded by a heavy black line on Plan 9424 in the Central Plan Register, a reduced copy of which is set out, by way of illustration only, in Schedule 2 to this proclamation.
SCHEDULE 2 - Plan
Displayed and numbered in accordance with the Rules Publication Act 1953.
Notified in the Gazette on 26 December 2012
This proclamation is administered in the Department of Primary Industries, Parks, Water and Environment.
