Proclamation under the Nature Conservation Act 2002
I, the Governor in and over the State of Tasmania and its Dependencies in the Commonwealth of Australia, acting with the advice of the Executive Council, by this my proclamation made under section 11(2) of the Nature Conservation Act 2002 declare
5 December 2011(a) the Crown land specified in Part 1 of Schedule 1 to this proclamation to be reserved land in the class of nature reserve and give the name Badger Box Creek Nature Reserve to that reserved land; and(b) the Crown land specified in Part 2 of Schedule 1 to this proclamation to be reserved land in the class of nature reserve and give the name Cape Deslacs Nature Reserve to that reserved land; and(c) the Crown land specified in Part 3 of Schedule 1 to this proclamation to be reserved land in the class of nature reserve and give the name Cherry Tree Hill Nature Reserve to that reserved land; and(d) the Crown land specified in Part 4 of Schedule 1 to this proclamation to be reserved land in the class of nature reserve and give the name Dickinsons Nature Reserve to that reserved land; and(e) the Crown land specified in Part 5 of Schedule 1 to this proclamation to be reserved land in the class of nature reserve and give the name Jordan Nature Reserve to that reserved land; and(f) the Crown land specified in Part 6 of Schedule 1 to this proclamation to be reserved land in the class of nature reserve and give the name Lily Lagoon Nature Reserve to that reserved land; and(g) the Crown land specified in Part 7 of Schedule 1 to this proclamation to be reserved land in the class of nature reserve and give the name Little Swan Island Nature Reserve to that reserved land; and(h) the Crown land specified in Part 8 of Schedule 1 to this proclamation to be reserved land in the class of nature reserve and give the name Muddy Lagoon Nature Reserve to that reserved land; and(i) the Crown land specified in Part 9 of Schedule 1 to this proclamation to be reserved land in the class of nature reserve and give the name Narrows Road Nature Reserve to that reserved land; and(j) the Crown land specified in Part 10 of Schedule 1 to this proclamation to be reserved land in the class of nature reserve and give the name Wingaroo Nature Reserve to that reserved land; and(k) that this proclamation takes effect on the day on which its making is notified in the Gazette.
PETER G. UNDERWOOD
Governor
By His Excellency's Command,
BRIAN WIGHTMAN
Minister for Environment, Parks and Heritage
SCHEDULE 1 - Areas of Land
PART 1 - Badger Box Creek Nature ReserveAll that area of land comprising about 23.43 hectares, shown as Lot 1 and bounded by a heavy black line on Plan 6911 in the Central Plan Register, a reduced copy of which is set out, by way of illustration only, in Part 1 of Schedule 2 to this proclamation.
PART 2 - Cape Deslacs Nature ReserveAll that area of land comprising about 5.211 hectares, shown as Lot 1 and bounded by a heavy black line on Plan 7797 in the Central Plan Register, a reduced copy of which is set out, by way of illustration only, in Part 2 of Schedule 2 to this proclamation.
PART 3 - Cherry Tree Hill Nature ReserveAll that area of land comprising about 87.62 hectares, shown as Lot 1 and bounded by a heavy black line on Plan 6462 in the Central Plan Register, a reduced copy of which is set out, by way of illustration only, in Part 3 of Schedule 2 to this proclamation.
PART 4 - Dickinsons Nature ReserveAll that area of land comprising about 20.92 hectares, shown as Lot 1 and bounded by a heavy black line on Plan 7409 in the Central Plan Register, a reduced copy of which is set out, by way of illustration only, in Part 4 of Schedule 2 to this proclamation.
PART 5 - Jordan Nature ReserveAll that area of land comprising about 3.614 hectares, shown as Lot 1 and bounded by a heavy black line on Plan 7752 in the Central Plan Register, a reduced copy of which is set out, by way of illustration only, in Part 5 of Schedule 2 to this proclamation.
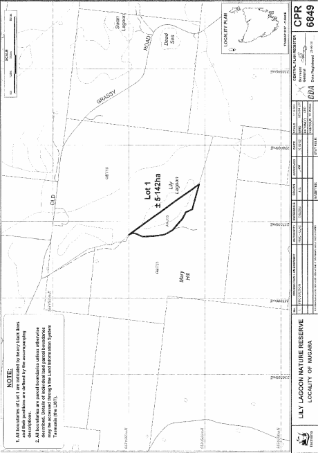
PART 6 - Lily Lagoon Nature ReserveAll that area of land comprising about 5.142 hectares, shown as Lot 1 and bounded by a heavy black line on Plan 6849 in the Central Plan Register, a reduced copy of which is set out, by way of illustration only, in Part 6 of Schedule 2 to this proclamation.
PART 7 - Little Swan Island Nature ReserveAll that area of land comprising about 1.159 hectares, shown as Lot 1 (in two parts) and bounded by a heavy black line on Plan 7656 in the Central Plan Register, a reduced copy of which is set out, by way of illustration only, in Part 7 of Schedule 2 to this proclamation.
PART 8 - Muddy Lagoon Nature ReserveAll that area of land comprising about 34.38 hectares, shown as Lot 1 and bounded by a heavy black line on Plan 6869 in the Central Plan Register, a reduced copy of which is set out, by way of illustration only, in Part 8 of Schedule 2 to this proclamation.
PART 9 - Narrows Road Nature ReserveAll that area of land comprising
bounded by heavy black lines on Plan 7291 in the Central Plan Register, a reduced copy of which is set out, by way of illustration only, in Part 9 of Schedule 2 to this proclamation.(a) about 9.742 hectares, shown as Lot 1 (in 2 parts); and(b) about 7.932 hectares, shown as Lot 2
PART 10 - Wingaroo Nature ReserveAll that area of land comprising about 41.68 hectares, shown as Lot 1 and bounded by a heavy black line on Plan 7913 in the Central Plan Register, a reduced copy of which is set out, by way of illustration only, in Part 10 of Schedule 2 to this proclamation.
SCHEDULE 2 - Plans
PART 1 - Badger Box Creek Nature Reserve
PART 2 - Cape Deslacs Nature Reserve
PART 3 - Cherry Tree Hill Nature Reserve
PART 4 - Dickinsons Nature Reserve
PART 5 - Jordan Nature Reserve
PART 6 - Lily Lagoon Nature Reserve
PART 7 - Little Swan Island Nature Reserve
PART 8 - Muddy Lagoon Nature Reserve
PART 9 - Narrows Road Nature Reserve
PART 10 - Wingaroo Nature Reserve
Displayed and numbered in accordance with the Rules Publication Act 1953.
Notified in the Gazette on 14 December 2011
This proclamation is administered in the Department of Primary Industries, Parks, Water and Environment.









