Proclamation under the Nature Conservation Act 2002
I, the Governor in and over the State of Tasmania and its Dependencies in the Commonwealth of Australia, acting with the advice of the Executive Council and with the consent of the Minister administering the National Parks and Reserves Management Act 2002, by this my proclamation made under the Nature Conservation Act 2002 pursuant to section 12(2)(c)(i) of the Port Arthur Historic Site Management Authority Act 1987 declare
26 July 2011(a) the reserved land specified in Schedule 1 to this proclamation to form part of the historic site under the Port Arthur Historic Site Management Authority Act 1987 ; and(b) that this proclamation takes effect on the day on which its making is notified in the Gazette.
PETER G. UNDERWOOD
Governor
By His Excellency's Command,
S. BACON
Minister for Tourism acting for and on behalf of the Minister for Environment, Parks and Heritage
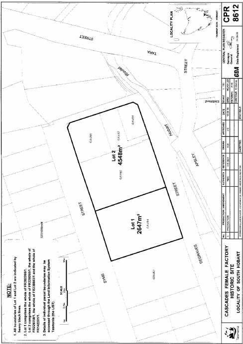
SCHEDULE 1 - Cascades Female Factory Historic SiteAll that area of land comprising
and bounded by heavy black lines on Plan 8612 in the Central Plan Register, a reduced copy of which is set out, by way of illustration only, in Schedule 2 to this proclamation.(a) about 2 647 square metres, shown as Lot 1; and(b) about 4 548 square metres, shown as Lot 2
SCHEDULE 2 - Plan
Displayed and numbered in accordance with the Rules Publication Act 1953.
Notified in the Gazette on 3 August 2011
This proclamation is administered in the Department of Primary Industries, Parks, Water and Environment.
