Proclamation under the Nature Conservation Act 2002
I, the Governor in and over the State of Tasmania and its Dependencies in the Commonwealth of Australia, acting with the advice of the Executive Council, by this my proclamation made under section 21(1) of the Nature Conservation Act 2002 declare that
15 June 2009(a) the area of Crown land specified in Schedule 1 to this proclamation, being an area of reserved land known as Palmers Lookout State Reserve*, ceases to be reserved land; and(b) this proclamation takes effect on the day on which its making is notified in the Gazette.
*Note: The area of reserved land known as Palmers Lookout State Reserve was acquired for the public purpose of scenic reserve by a notification under the Lands Resumption Act 1957 published in the Gazette of 1 September 1965, at page 1175. By virtue of section 7 of the Scenery Preservation Act 1915, the area of land was deemed to be a reserve under that Act. On the commencement of the National Parks and Wildlife Act 1970, the area of land became a State reserve under that Act. By operation of section 15 of the Regional Forest Agreement (Land Classification) Act 1998, the area of land was taken to have been declared to be reserved land in the class of State reserve under the National Parks and Wildlife Act 1970. On the commencement of the Nature Conservation Act 2002, the area of land was taken to be reserved land in the class of State reserve under that Act. The area of land was named Palmers Lookout State Reserve by a proclamation notified in the Gazette as Statutory Rules 1999, No. 35.
PETER G. UNDERWOOD
Governor
By His Excellency's Command,
D. E. LLEWELLYN
Minister for Primary Industries and Water
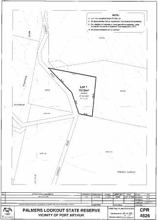
SCHEDULE 1 - Palmers Lookout State Reserve RevocationAll that area of land comprising about 7 512 square metres, shown as Lot 1 and bounded by a heavy black line on Plan 4826 in the Central Plan Register, a reduced copy of which is set out, by way of illustration only, in Schedule 2 to this proclamation.
SCHEDULE 2 - Plan
Displayed and numbered in accordance with the Rules Publication Act 1953.
Notified in the Gazette on 24 June 2009
This proclamation is administered in the Department of Primary Industries and Water.
