Proclamation under the Highways Act 1951
I, the Governor in and over the State of Tasmania and its Dependencies in the Commonwealth of Australia, acting with the advice of the Executive Council, by this my proclamation made under section 3 of the Highways Act 1951
2 February 2009(a) notify the dedication as a highway of the land of the Crown specified in Schedule 1 to this proclamation; and(b) notify that the boundaries of the highway are the boundaries specified in that Schedule; and(c) declare that this proclamation takes effect on the day on which its making is notified in the Gazette.
PETER G. UNDERWOOD
Governor
By His Excellency's Command,
G. L. STURGES
Minister for Infrastructure
SCHEDULE 1 - CROWN LAND DEDICATED AS HIGHWAY
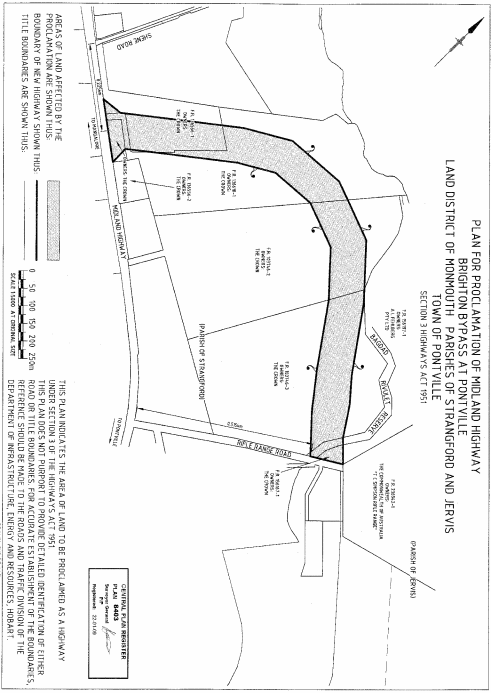
Name | Description | Length in kilometres | Midland Highway | From its junction with the existing Midland Highway at a point 0.225 kilometres south of Shene Road to the northern side of Rifle Range Road at a point 0.515 kilometres east of that existing highway comprising the area of land shown shaded in grey on Plan 8403 in the Central Plan Register, a reduced copy of which is set out, by way of illustration only, in Schedule 2 to this proclamation. | 0.835 |
SCHEDULE 2 - PLAN
Displayed and numbered in accordance with the Rules Publication Act 1953.
Notified in the Gazette on 11 February 2009
This proclamation is administered in the Department of Infrastructure, Energy and Resources.
