Proclamation under the Nature Conservation Act 2002
I, the Governor in and over the State of Tasmania and its Dependencies in the Commonwealth of Australia, acting with the advice of the Executive Council, by this my proclamation made under sections 11(2) and 17(1) of the Nature Conservation Act 2002
17 December 2007(a) declare the reserved land specified in clause 1 of Part 1 of Schedule 1 to this proclamation, that immediately before this proclamation takes effect is reserved land in the class of State reserve, to be reserved land in the class of historic site and give the name Port Arthur Historic Site to that reserved land; and(b) declare the areas of Crown land specified in clauses 2 and 3 of Part 1 of Schedule 1 to this proclamation to be reserved land in the class of historic site and give the name Port Arthur Historic Site to that reserved land; and(c) declare the Crown land specified in Part 2 of Schedule 1 to this proclamation to be reserved land in the class of historic site and give the name Eaglehawk Neck Historic Site to that reserved land; and(d) declare the Crown land specified in Part 3 of Schedule 1 to this proclamation to be reserved land in the class of historic site and give the name Cemetery Point Historic Site to that reserved land; and(e) declare the Crown land specified in Part 4 of Schedule 1 to this proclamation to be reserved land in the class of historic site and give the name Premaydena Point Historic Site to that reserved land; and(f) declare the Crown land specified in Part 5 of Schedule 1 to this proclamation to be reserved land in the class of historic site and give the name Strahan Customs House Historic Site to that reserved land; and(g) declare that this proclamation takes effect on the day on which its making is notified in the Gazette.
W. J. E. COX
Governor
By His Excellency's Command,
D. E. LLEWELLYN
Minister for Primary Industries and Water
SCHEDULE 1 - AREAS OF LAND
PART 1 - PORT ARTHUR HISTORIC SITE
1. All that area of land comprising about 1.033 hectares, shown as Lot 2 and bounded by a heavy black line on Plan 7905 in the Central Plan Register, a reduced copy of which is set out, by way of illustration only, in Part 1 of Schedule 2 to this proclamation.
2. All that area of land comprising about 9.055 hectares, shown as Lot 1 and bounded by a heavy black line on Plan 7905 in the Central Plan Register, a reduced copy of which is set out, by way of illustration only, in Part 1 of Schedule 2 to this proclamation.
3. All that area of land comprising about 480 square metres, shown as Lot 1 and bounded by a heavy black line on Plan 6955 in the Central Plan Register, a reduced copy of which is set out, by way of illustration only, in Part 2 of Schedule 2 to this proclamation.
PART 2 - EAGLEHAWK NECK HISTORIC SITEAll that area of land comprising about 6.358 hectares, shown as Lot 1 and bounded by a heavy black line on Plan 6951 in the Central Plan Register, a reduced copy of which is set out, by way of illustration only, in Part 3 of Schedule 2 to this proclamation.
PART 3 - CEMETERY POINT HISTORIC SITEAll that area of land comprising about 7 667 square metres, shown as Lot 1 and bounded by a heavy black line on Plan 7499 in the Central Plan Register, a reduced copy of which is set out, by way of illustration only, in Part 4 of Schedule 2 to this proclamation.
PART 4 - PREMAYDENA POINT HISTORIC SITEAll that area of land comprising about 1.983 hectares, shown as Lot 1 and bounded by a heavy black line on Plan 7721 in the Central Plan Register, a reduced copy of which is set out, by way of illustration only, in Part 5 of Schedule 2 to this proclamation.
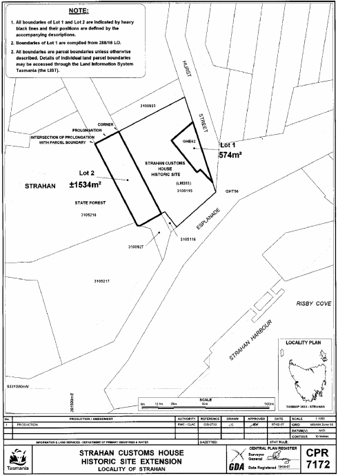
PART 5 - STRAHAN CUSTOMS HOUSE HISTORIC SITEAll that area of land comprising about 2 108 square metres, shown as Lots 1 and 2 and bounded by heavy black lines on Plan 7172 in the Central Plan Register, a reduced copy of which is set out, by way of illustration only, in Part 6 of Schedule 2 to this proclamation.
SCHEDULE 2 - PLANS
PART 1 - PORT ARTHUR HISTORIC SITE
PART 2 - PORT ARTHUR HISTORIC SITE
PART 3 - EAGLEHAWK NECK HISTORIC SITE
PART 4 - CEMETERY POINT HISTORIC SITE
PART 5 - PREMAYDENA POINT HISTORIC SITE
PART 6 - STRAHAN CUSTOMS HOUSE HISTORIC SITE
Displayed and numbered in accordance with the Rules Publication Act 1953.
Notified in the Gazette on 26 December 2007
This proclamation is administered in the Department of Primary Industries and Water.





