Local Government (Building and Miscellaneous Provisions) (Glenorchy) Order 2001
I, the Governor in and over the State of Tasmania and its Dependencies in the Commonwealth of Australia, acting with the advice of the Executive Council and on the recommendation of the Secretary, make the following order under the Local Government (Building and Miscellaneous Provisions) Act 1993 .
27 August 2001G. S. M. GREEN
Governor
By His Excellency's Command,
P. A. LENNON
Minister for Infrastructure, Energy and Resources
This order may be cited as the Local Government (Building and Miscellaneous Provisions) (Glenorchy) Order 2001 .
This order takes effect 30 days after the day on which its making is notified in the Gazette.
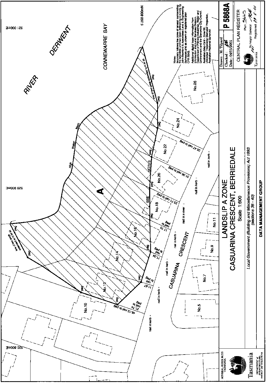
The area specified in Schedule 1 is declared to be an A landslip area.
SCHEDULE 1 - Landslip areaThe area at Casuarina Crescent in the Municipality of Glenorchy shown hatched on Plan Number 5645 in the Central Plan Register, a reduced copy of which is set out, by way of illustration only, in Schedule 2 to this proclamation.
SCHEDULE 2 - Plan
Displayed and numbered in accordance with the Rules Publication Act 1953.
Notified in the Gazette on 5 September 2001
This order is administered in the Department of Infrastructure, Energy and Resources.
