Proclamation under the National Parks and Wildlife Act 1970
I, the Governor in and over the State of Tasmania and its Dependencies in the Commonwealth of Australia, acting with the advice of the Executive Council and with the approval of each House of Parliament, by this my proclamation made under section 15A(1) of the National Parks and Wildlife Act 1970
21 December 2000(a) declare the reserved land previously declared to be in the class of conservation area under section 14C of the National Parks and Wildlife Act 1970 and specified in Schedule 1 to this proclamation to be reserved land in the class of State reserve; and(b) give the name Pieman River State Reserve to that reserved land; and(c) declare that this proclamation takes effect on the day on which its making is notified in the Gazette.
G. S. M. GREEN
Governor
By His Excellency's Command,
D. E. LLEWELLYN
Minister for Primary Industries, Water and Environment
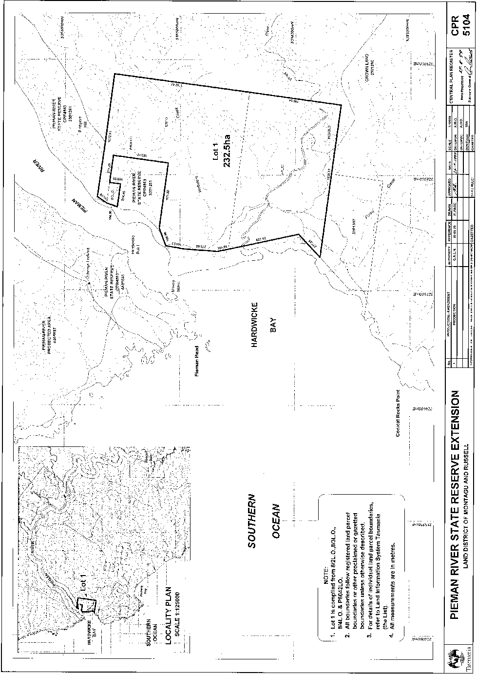
SCHEDULE 1 - Pieman River State ReserveAll that area of land comprising about 232.5 hectares shown bounded by a heavy black line on Plan Number 5104 in the Central Plan Register, a reduced copy of which is set out, by way of illustration only, in Schedule 2 to this proclamation.
SCHEDULE 2 - Plan
Displayed and numbered in accordance with the Rules Publication Act 1953.
Notified in the Gazette on 27 December 2000
This proclamation is administered in the Department of Primary Industries, Water and Environment.
