Proclamation under the Local Government (Building and Miscellaneous Provisions) Act 1993
I, the Governor in and over the State of Tasmania and its Dependencies in the Commonwealth of Australia, acting with the advice of the Executive Council and on the petition of the Southern Midlands Council, by this my proclamation made under section 198 of the Local Government (Building and Miscellaneous Provisions) Act 1993
13 December 1999(a) declare an area of land in the municipal area of Southern Midlands to be a water district, the limits of which are defined in Schedule 1 to this proclamation; and(b) name that water district the Oatlands Water District; and(c) revoke the proclamation notified in the Gazette on 26 April 1938 at page 908; and(d) declare that this proclamation takes effect on the day on which its making is notified in the Gazette.
G. S. M. GREEN
Governor
By His Excellency's Command,
J. A. BACON
Premier
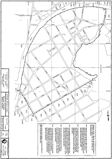
SCHEDULE 1 - Oatlands Water DistrictAll that area of land in the municipal area of Southern Midlands shown bounded by heavy black lines on Plan No. 3108 in the Central Plan Register, a reduced copy of which is set out, by way of illustration only, in Schedule 2 to this proclamation.
SCHEDULE 2 - Plan
Displayed and numbered in accordance with the Rules Publication Act 1953.
Notified in the Gazette on 22 December 1999
This proclamation is administered in the Department of Premier and Cabinet.
