Proclamation under the Nature Conservation Act 2002
I, the Governor in and over the State of Tasmania and its Dependencies in the Commonwealth of Australia, acting with the advice of the Executive Council, by this my proclamation made under section 21(1) of the Nature Conservation Act 2002 declare that
26 October 2015(a) the area of Crown land specified in Schedule 1 to this proclamation, being an area of land at New Norfolk that is reserved in the class of State reserve and that forms part of the land known as the Derwent Cliffs State Reserve, ceases to be reserved land; and(b) this proclamation takes effect on the day on which its making is notified in the Gazette.
C. WARNER
Governor
By Her Excellency's Command,
MATTHEW GROOM
Minister for Environment, Parks and Heritage
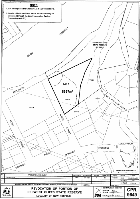
SCHEDULE 1 - Derwent Cliffs State Reserve Partial RevocationAll that area of land comprising about 8897 square metres, shown as Lot 1 and bounded by a heavy black line on Plan 9649 in the Central Plan Register, a reduced copy of which is set out, by way of illustration only, in Schedule 2 to this proclamation.
SCHEDULE 2 - Plan
Displayed and numbered in accordance with the Rules Publication Act 1953.
Notified in the Gazette on 4 November 2015
This proclamation is administered in the Department of Primary Industries, Parks, Water and Environment.
EXPLANATORY NOTE
(This note is not part of the proclamation)
This proclamation declares that an area of Crown land at New Norfolk that forms part of the Derwent Cliffs State Reserve ceases to be reserved land in the class of State reserve.
