Proclamation under the Nature Conservation Act 2002
I, the Governor in and over the State of Tasmania and its Dependencies in the Commonwealth of Australia, acting with the advice of the Executive Council, by this my proclamation made under section 11(2) of the Nature Conservation Act 2002 declare
29 August 2011(a) the area of Crown land specified in Part 1 of Schedule 1 to this proclamation to be reserved land in the class of conservation area and give the name Cam River Conservation Area to that reserved land; and(b) the area of Crown land specified in Part 2 of Schedule 1 to this proclamation to be reserved land in the class of conservation area and give the name Chuckle Head Conservation Area to that reserved land; and(c) the area of Crown land specified in Part 3 of Schedule 1 to this proclamation to be reserved land in the class of conservation area and give the name Great Musselroe River Conservation Area to that reserved land; and(d) the area of Crown land specified in Part 4 of Schedule 1 to this proclamation to be reserved land in the class of conservation area and give the name Greens Beach Conservation Area to that reserved land; and(e) the area of Crown land specified in Part 5 of Schedule 1 to this proclamation to be reserved land in the class of conservation area and give the name Hogan Group Conservation Area to that reserved land; and(f) the area of Crown land specified in Part 6 of Schedule 1 to this proclamation to be reserved land in the class of conservation area and give the name Macquarie River Conservation Area to that reserved land; and(g) the area of Crown land specified in Part 7 of Schedule 1 to this proclamation to be reserved land in the class of conservation area and give the name Middle Arm Conservation Area to that reserved land; and(h) the area of Crown land specified in Part 8 of Schedule 1 to this proclamation to be reserved land in the class of conservation area and give the name Ocean Beach Conservation Area to that reserved land; and(i) the area of Crown land specified in Part 9 of Schedule 1 to this proclamation to be reserved land in the class of conservation area and give the name Pasco Group Conservation Area to that reserved land; and(j) the area of Crown land specified in Part 10 of Schedule 1 to this proclamation to be reserved land in the class of conservation area and give the name West Arm Conservation Area to that reserved land; and(k) that this proclamation takes effect on the day on which its making is notified in the Gazette.
PETER G. UNDERWOOD
Governor
By His Excellency's Command,
BRIAN WIGHTMAN
Minister for Environment, Parks and Heritage
SCHEDULE 1 - Areas of Land
PART 1 - Cam River Conservation AreaAll that area of land comprising about 112.4 hectares, shown as Lot 1 and bounded by a heavy black line, on Plan 6966 in the Central Plan Register, a reduced copy of which is set out, by way of illustration only, in Part 1 of Schedule 2 to this proclamation.
PART 2 - Chuckle Head Conservation AreaAll that area of land comprising
and bounded by heavy black lines, on Plan 7283 in the Central Plan Register, a reduced copy of which is set out, by way of illustration only, in Part 2 of Schedule 2 to this proclamation.(a) about 20.96 hectares, shown as Lot 1; and(b) about 100.7 hectares, shown as Lot 2
PART 3 - Great Musselroe River Conservation AreaAll that area of land comprising about 194.6 hectares, shown as Lot 1 and bounded by a heavy black line, on Plan 7619 in the Central Plan Register, a reduced copy of which is set out, by way of illustration only, in Part 3 of Schedule 2 to this proclamation.
PART 4 - Greens Beach Conservation AreaAll that area of land comprising about 58.07 hectares, shown as Lot 1 and bounded by a heavy black line, on Plan 9299 in the Central Plan Register, a reduced copy of which is set out, by way of illustration only, in Part 4 of Schedule 2 to this proclamation.
PART 5 - Hogan Group Conservation AreaAll that area of land comprising
and bounded by heavy black lines, on Plan 7873 in the Central Plan Register, a reduced copy of which is set out, by way of illustration only, in Part 5 of Schedule 2 to this proclamation.(a) about 9.628 hectares, shown as Lot 1 (in 2 parts); and(b) about 28.28 hectares, shown as Lot 2; and(c) about 16 hectares, shown as Lot 3; and(d) about 251.6 hectares, shown as Lot 4; and(e) about 5.785 hectares, shown as Lot 5
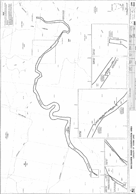
PART 6 - Macquarie River Conservation AreaAll that area of land comprising about 109 hectares, shown as Lot 1 and bounded by a heavy black line, on Plan 8224 in the Central Plan Register, a reduced copy of which is set out, by way of illustration only, in Part 6 of Schedule 2 to this proclamation.
PART 7 - Middle Arm Conservation AreaAll that area of land comprising about 192.3 hectares, shown as Lot 1 and bounded by a heavy black line, on Plan 8060 in the Central Plan Register, a reduced copy of which is set out, by way of illustration only, in Part 7 of Schedule 2 to this proclamation.
PART 8 - Ocean Beach Conservation AreaAll that area of land comprising about 6280 hectares, shown as Lot 1 and bounded by a heavy black line, on Plan 9302 in the Central Plan Register, a reduced copy of which is set out, by way of illustration only, in Part 8 of Schedule 2 to this proclamation.
PART 9 - Pasco Group Conservation AreaAll that area of land comprising
and bounded by heavy black lines, on Plan 7854 in the Central Plan Register, a reduced copy of which is set out, by way of illustration only, in Part 9 of Schedule 2 to this proclamation.(a) about 47.45 hectares, shown as Lot 1 (in 2 parts); and(b) about 23.38 hectares, shown as Lot 2 (in 3 parts); and(c) about 38.94 hectares, shown as Lot 3
PART 10 - West Arm Conservation AreaAll that area of land comprising
and bounded by heavy black lines, on Plan 9297 in the Central Plan Register, a reduced copy of which is set out, by way of illustration only, in Part 10 of Schedule 2 to this proclamation.(a) about 105.1 hectares, shown as Lot 1; and(b) about 138 hectares, shown as Lot 2
SCHEDULE 2 - Plans
PART 1 - Cam River Conservation Area
PART 2 - Chuckle Head Conservation Area
PART 3 - Great Musselroe River Conservation Area
PART 4 - Greens Beach Conservation Area
PART 5 - Hogan Group Conservation Area
PART 6 - Macquarie River Conservation Area
PART 7 - Middle Arm Conservation Area
PART 8 - Ocean Beach Conservation Area
PART 9 - Pasco Group Conservation Area
PART 10 - West Arm Conservation Area
Displayed and numbered in accordance with the Rules Publication Act 1953.
Notified in the Gazette on 7 September 2011
This proclamation is administered in the Department of Primary Industries, Parks, Water and Environment.
EXPLANATORY NOTE
(This note is not part of the proclamation)
This proclamation, under the Nature Conservation Act 2002 (a) declares certain areas of Crown land to be reserved land in the class of conservation area; and(b) in doing so, creates certain new conservation areas and extends an existing conservation area.









