Sewers and Drains (Bellbuoy Beach Limited Sewerage District) Order 2008
I make the following order under section 6 of the Sewers and Drains Act 1954 .
15 October 2008MICHELLE O'BYRNE
Minister for Environment, Parks, Heritage and the Arts
This order may be cited as the Sewers and Drains (Bellbuoy Beach Limited Sewerage District) Order 2008 .
This order takes effect on the day on which its making is notified in the Gazette.
3. Bellbuoy Beach Limited Sewerage District
The area of land specified in Schedule 1 to this order is (a) appointed to be, and is defined as, a limited sewerage district; and(b) named the Bellbuoy Beach Limited Sewerage District.
For the purpose of section 8 of the Sewers and Drains Act 1954 , the declared purpose of the Bellbuoy Beach Limited Sewerage District is to carry off simple sullage water and faeces.
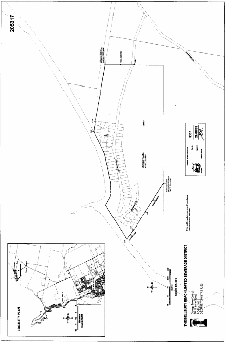
SCHEDULE 1 - Bellbuoy Beach Limited Sewerage DistrictAll that area of land comprising about 62 hectares, shown bounded by a heavy black line on Plan 8307 in the Central Plan Register, a reduced copy of which is set out, by way of illustration only, in Schedule 2 to this order.
SCHEDULE 2 - Plan
Displayed and numbered in accordance with the Rules Publication Act 1953.
Notified in the Gazette on 29 October 2008
This order is administered in the Department of Environment, Parks, Heritage and the Arts.
EXPLANATORY NOTE
(This note is not part of the order)
This order (a) appoints, defines and names the Bellbuoy Beach Limited Sewerage District; and(b) declares the purpose of that district.
