Sewers and Drains (Trial Harbour Limited Sewerage District) Order 2001
I make the following order under section 6 of the Sewers and Drains Act 1954 .
29 November 2001D. E. Llewellyn
Minister for Primary Industries, Water and Environment
This order may be cited as the Sewers and Drains (Trial Harbour Limited Sewerage District) Order 2001 .
This order takes effect on the day on which its making is notified in the Gazette.
3. Trial Harbour Limited Sewerage District
The area of land defined in Schedule 1 to this order is (a) appointed to be a Limited Sewerage District; and(b) named the Trial Harbour Limited Sewerage District.
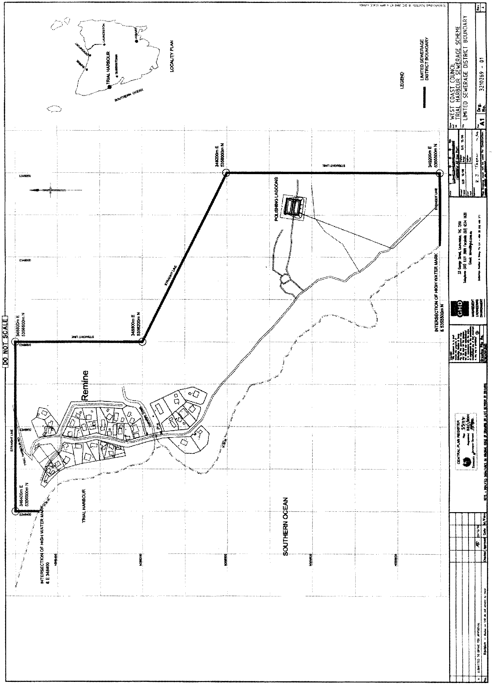
SCHEDULE 1 - Trial Harbour Limited Sewerage DistrictAll that land shown bounded by a heavy black line, and by the high water mark line, on Plan No. 5544 in the Central Plan Register, a reduced copy of which is set out, by way of illustration only, in Schedule 2 to this order.
SCHEDULE 2 - Plan
Displayed and numbered in accordance with the Rules Publication Act 1953.
Notified in the Gazette on 19 December 2001
This order is administered in the Department of Primary Industries, Water and Environment.
EXPLANATORY NOTE
(This note is not part of the order)
This order appoints, defines and names the Trial Harbour Limited Sewerage District.
