Housing Land Supply (Howrah) Order 2023
I make the following order under section 4 of the Housing Land Supply Act 2018 .
25 May 2023MICHAEL DARREL JOSEPH FERGUSON
Minister for Planning
This order may be cited as the Housing Land Supply (Howrah) Order 2023 .
This order takes effect on the day on which its making is notified in the Gazette.
In this order Act means the Housing Land Supply Act 2018 ;applicable area means the area of land declared under clause 4 to be housing supply land;grid reference means the grid reference taken from the Universal Grid Reference System used in Tasmania and based on the Geocentric Datum of Australia (also known as the the GDA or GDA94) as defined in the Commonwealth Gazette No. GN 35, 6 September 1995.
4. Declaration of housing supply land
For the purposes of section 4(1) of the Act, the area of land specified in Schedule 1 to this order is declared to be housing supply land.
5. Declaration of intended zone
For the purposes of section 4(2) of the Act, the intended zone in relation to the applicable area is declared to be the General Residential Zone referred to in the applicable planning scheme.
SCHEDULE 1 - Area of LandThe area of land that
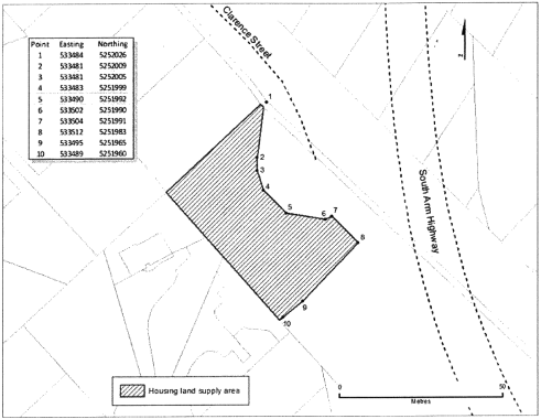
(a) is situated at Clarence Street, Howrah in Tasmania; and(b) forms part of the land as described in the certificate of title Volume 6109, Folio 1 of the Register kept under section 33 of the Land Titles Act 1980 ; and(c) is within the boundary made by the following imaginary lines:(i) a line between grid reference 533484E 5252026N and grid reference 533481E 5252009N;(ii) a line between grid reference 533481E 5252009N and grid reference 533481E 5252005N;(iii) a line between grid reference 533481E 5252005N and grid reference 533483E 5251999N;(iv) a line between grid reference 533483E 5251999N and grid reference 533490E 5251992N;(v) a line between grid reference 533490E 5251992N and grid reference 533502E 5251990N;(vi) a line between grid reference 533502E 5251990N and grid reference 533504E 5251991N;(vii) a line between grid reference 533504E 5251991N and grid reference 533512E 5251983N;(viii) a line between grid reference 533512E 5251983N and grid reference 533495E 5251965N;(ix) a line between grid reference 533495E 5251965N and grid reference 533489E 5251960N;(x) a line from grid reference 533489E 5251960N to the north-westernmost corner of the land specified in that certificate of title;(xi) a line from that north-westernmost corner referred to in subparagraph (x) to grid reference 533484E 5252026N; and(d) is shown as the shaded area, bounded by heavy black lines, on the plan set out, by way of illustration only, in Schedule 2 to this order.
SCHEDULE 2 - Plan
Displayed and numbered in accordance with the Rules Publication Act 1953.
Notified in the Gazette on 14 June 2023
This order is administered in the Department of Premier and Cabinet.
