Housing Land Supply (Burnie) Order 2022
I make the following order under section 4 of the Housing Land Supply Act 2018 .
26 June 2022MICHAEL DARREL JOSEPH FERGUSON
Minister for Planning
This order may be cited as the Housing Land Supply (Burnie) Order 2022 .
This order takes effect on the day on which its making is notified in the Gazette.
In this order Act means the Housing Land Supply Act 2018 ;applicable area means the area of land declared by clause 4 to be housing supply land;grid reference means the grid reference taken from the Universal Grid Reference System used in Tasmania and based on the Geocentric Datum of Australia (also known as the "the GDA" or "GDA94") as defined in the Commonwealth Gazette No. GN 35, 6 September 1995;property identification number, in respect of a property, means the property identification number for the property contained in the Land Information System Tasmania administered by the department responsible for the administration of the Land Titles Act 1980 .
4. Declaration of housing supply land
For the purposes of section 4(1) of the Act, the area of land specified in Schedule 1 to this order is declared to be housing supply land.
5. Declaration of intended zone
For the purposes of section 4(2) of the Act, the intended zone in relation to the applicable area is declared to be the General Residential Zone referred to in the applicable planning scheme.
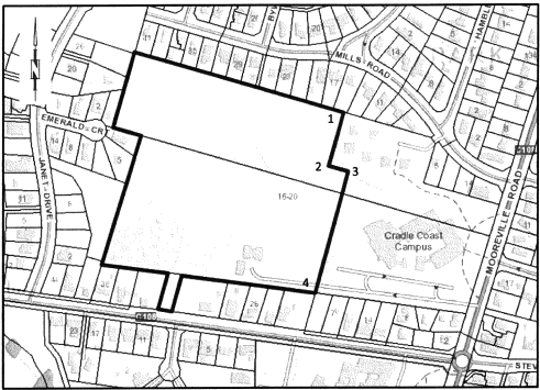
SCHEDULE 1 - Area of landThe area of land that
(a) is situated at 16-20 Mooreville Road, Park Grove, Burnie in Tasmania; and(b) comprises (i) that land, forming part of the land identified by property identification number 6187275, that is west of an imaginary line made up of the following straight lines:(A) a line from grid reference E405866.224 N5454360.880 to grid reference E405851.469 N5454303.359;(B) a line from grid reference E405851.469 N5454303.359 to grid reference E405879.164 N5454295.236;(C) a line from grid reference E405879.164 N5454295.236 to grid reference E405832.218 N5454144.767; and(ii) that land described in certificate of title Volume 26609, Folio 2 of the register kept under section 33 of the Land Titles Act 1980; and(c) is shown bounded by a heavy black line in the plan set out, by way of illustration only, in Schedule 2 to this order.
SCHEDULE 2 - Plan
Displayed and numbered in accordance with the Rules Publication Act 1953.
Notified in the Gazette on 20 July 2022
This order is administered in the Department of Premier and Cabinet.

