Housing Land Supply (Warrane) Order 2022
I make the following order under section 4 of the Housing Land Supply Act 2018 .
26 June 2022MICHAEL DARREL JOSEPH FERGUSON
Minister for Planning
This order may be cited as the Housing Land Supply (Warrane) Order 2022 .
This order takes effect on the day on which its making is notified in the Gazette.
In this order Act means the Housing Land Supply Act 2018 ;applicable area means the area of land declared by clause 4 to be housing supply land.
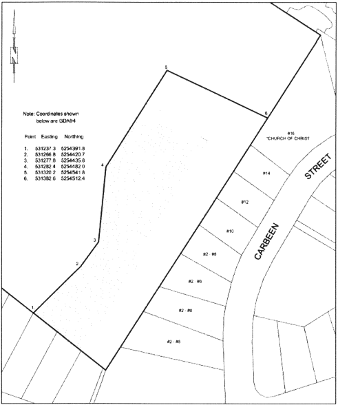
4. Declaration of housing supply land
For the purposes of section 4(1) of the Act, the area of land is declared to be housing supply land.(a) situated at 213 Cambridge Road, Warrane in Tasmania; and(b) comprised in certificate of title Volume 28, Folio 840 of the Register kept under section 33 of the Land Titles Act 1980 ; and(c) shown bounded by a heavy black line in the plan set out, by way of illustration only, in Schedule 1 to this order
5. Declaration of intended zone
For the purposes of section 4(2) of the Act, the intended zone in relation to the applicable area is declared to be the General Residential Zone referred to in the applicable planning scheme.
SCHEDULE 1 - Plan
Displayed and numbered in accordance with the Rules Publication Act 1953.
Notified in the Gazette on 20 July 2022
This order is administered in the Department of Premier and Cabinet.
