Proclamation under the Roads and Jetties Act 1935
I, the Governor in and over the State of Tasmania and its Dependencies in the Commonwealth of Australia, acting with the advice of the Executive Council, by this my proclamation made under sections 9A and 52A of the Roads and Jetties Act 1935 declare
22 December 2008(a) the intended new line of part of the Midland Highway to be the line specified in Schedule 1 to this proclamation; and(b) that intended part of the Midland Highway specified in Schedule 1 to this proclamation to be a limited access road; and(c) that there are no places of access to that limited access road for the purposes of section 52B of that Act.
PETER G. UNDERWOOD
Governor
By His Excellency's Command,
G. L. STURGES
Minister for Infrastructure
SCHEDULE 1 - INTENDED NEW LINE OF THE MIDLAND HIGHWAY
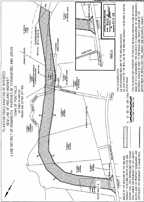
Name | Description | Length in kilometres | Midland Highway | From its junction with the existing Midland Highway at a point 0.225 kilometres south of Shene Road to the southern boundary of the land in Folio of the Register Volume 103722 Folio 18 comprising the area of land shown shaded in grey on Plan 8402 in the Central Plan Register, a reduced copy of which is set out, by way of illustration only, in Schedule 2 to this proclamation. | 1.410 |
SCHEDULE 2 - PLAN
Displayed and numbered in accordance with the Rules Publication Act 1953.
Notified in the Gazette on 31 December 2008
This proclamation is administered in the Department of Infrastructure, Energy and Resources.
