Proclamation under the National Parks and Wildlife Act 1970
I, the Governor in and over the State of Tasmania and its Dependencies in the Commonwealth of Australia, acting with the advice of the Executive Council, by this my proclamation made under section 14(1) of the National Parks and Wildlife Act 1970
16 December 2002(a) declare the Crown land specified in Part 1 of Schedule 1 to this proclamation to be reserved land in the class of conservation area and give the name Patriarchs Conservation Area to that reserved land; and(b) declare the Crown land specified in Part 2 of Schedule 1 to this proclamation to be reserved land in the class of game reserve and give the name Sellars Lagoon Game Reserve to that reserved land; and(c) declare the Crown land specified in Part 3 of Schedule 1 to this proclamation to be reserved land in the class of conservation area and give the name Lackrana Conservation Area to that reserved land; and(d) declare the Crown land specified in Part 4 of Schedule 1 to this proclamation to be reserved land in the class of conservation area and give the name Logan Lagoon Conservation Area to that reserved land; and(e) declare the Crown land specified in Part 5 of Schedule 1 to this proclamation to be reserved land in the class of conservation area and give the name Lime Pit Road Conservation Area to that reserved land; and(f) declare the Crown land specified in Part 6 of Schedule 1 to this proclamation to be reserved land in the class of conservation area and give the name Shag Lagoon Conservation Area to that reserved land; and(g) declare the Crown land specified in Part 7 of Schedule 1 to this proclamation to be reserved land in the class of conservation area and give the name Mulligans Hill Conservation Area to that reserved land; and(h) declare the Crown land specified in Part 8 of Schedule 1 to this proclamation to be reserved land in the class of conservation area and give the name Summer Camp Conservation Area to that reserved land; and(i) declare the Crown land specified in Part 9 of Schedule 1 to this proclamation to be reserved land in the class of conservation area and give the name Darling Range Conservation Area to that reserved land; and(j) declare the Crown land specified in Part 10 of Schedule 1 to this proclamation to be reserved land in the class of conservation area and give the name The Dutchman Conservation Area to that reserved land; and(k) declare that this proclamation takes effect on the day on which its making is notified in the Gazette.
G. S. M. GREEN
Governor
By His Excellency's Command,
BRYAN GREEN
Minister for Primary Industries, Water and Environment
SCHEDULE 1 - Areas of land
PART 1 - Patriarchs Conservation AreaAll that land comprising about 4 050 hectares shown as Lot 1 and bounded as indicated by a heavy black line on Plan 5950 in the Central Plan Register, a reduced copy of which is included by way of illustration only, in Part 2 of Schedule 2 to this proclamation.
PART 2 - Sellars Lagoon Game ReserveAll that land comprising about 7 828 hectares shown as Lot 2 and bounded as indicated by a heavy black line on Plan 5950 in the Central Plan Register, a reduced copy of which is included by way of illustration only, in Part 3 of Schedule 2 to this proclamation.
PART 3 - Lackrana Conservation AreaAll that land comprising about 86.12 hectares shown bounded as indicated by a heavy black line on Plan 5945 in the Central Plan Register, a reduced copy of which is included by way of illustration only, in Part 4 of Schedule 2 to this proclamation.
PART 4 - Logan Lagoon Conservation AreaAll that land comprising about 2 607 hectares shown as Lots 1 and 2 and bounded as indicated by heavy black lines on Plan 5947 in the Central Plan Register, a reduced copy of which is included by way of illustration only, in Part 5 of Schedule 2 to this proclamation.
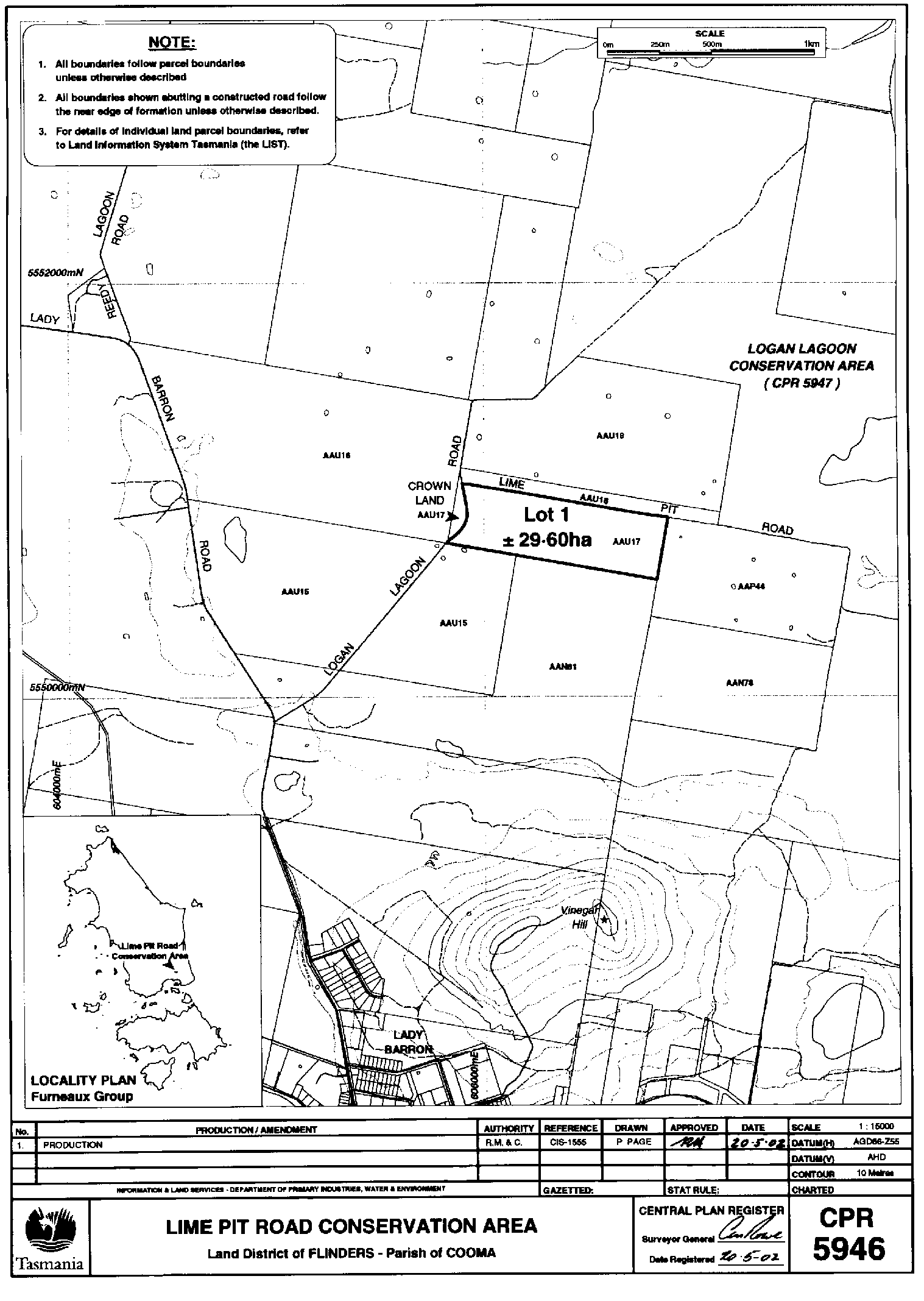
PART 5 - Lime Pit Road Conservation AreaAll that land comprising about 29.6 hectares shown bounded as indicated by a heavy black line on Plan 5946 in the Central Plan Register, a reduced copy of which is included by way of illustration only, in Part 6 of Schedule 2 to this proclamation.
PART 6 - Shag Lagoon Conservation AreaAll that land comprising about 1 008 hectares shown bounded as indicated by a heavy black line on Plan 5951 in the Central Plan Register, a reduced copy of which is included by way of illustration only, in Part 7 of Schedule 2 to this proclamation.
PART 7 - Mulligans Hill Conservation AreaAll that land comprising about 1 183 hectares shown bounded as indicated by a heavy black line on Plan 5949 in the Central Plan Register, a reduced copy of which is included by way of illustration only, in Part 8 of Schedule 2 to this proclamation.
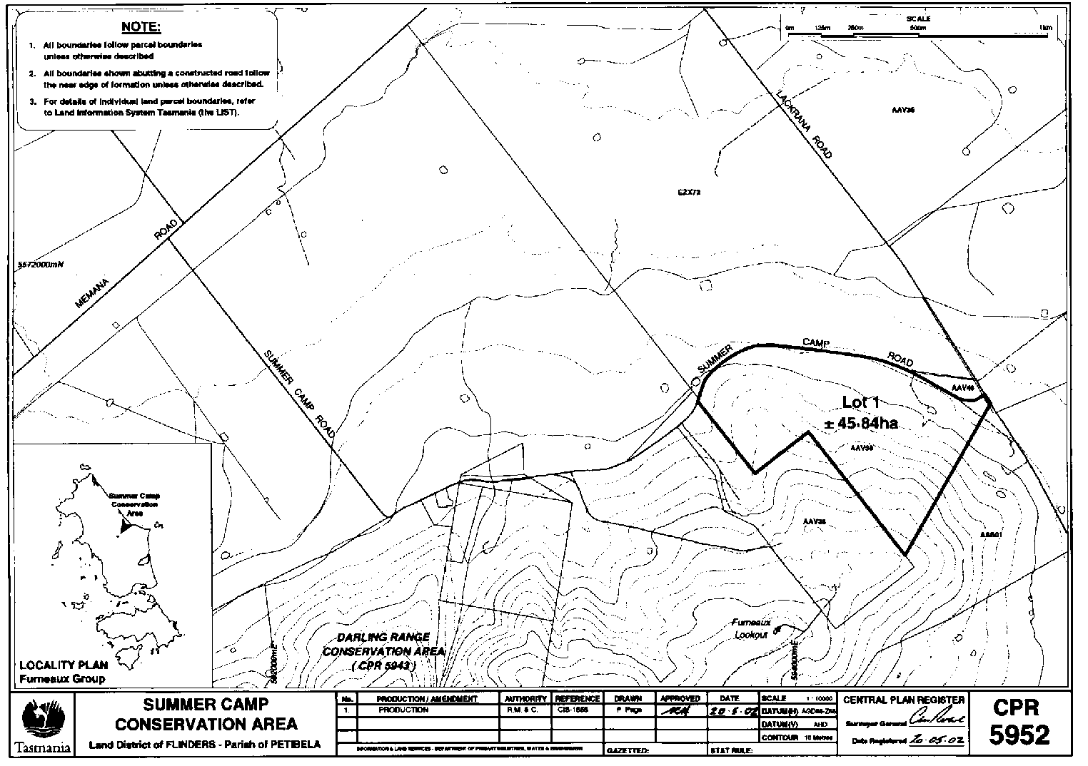
PART 8 - Summer Camp Conservation AreaAll that land comprising about 45.84 hectares shown bounded as indicated by a heavy black line on Plan 5952 in the Central Plan Register, a reduced copy of which is included by way of illustration only, in Part 9 of Schedule 2 to this proclamation.
PART 9 - Darling Range Conservation AreaAll that land comprising about 4 077.42 hectares shown as Lots 1, 2, and 3 and bounded as indicated by heavy black lines on Plan 5943 in the Central Plan Register, a reduced copy of which is included by way of illustration only, in Part 10 of Schedule 2 to this proclamation.
PART 10 - The Dutchman Conservation AreaAll that land comprising about 185.8 hectares shown bounded as indicated by a heavy black line on Plan 5953 in the Central Plan Register, a reduced copy of which is included by way of illustration only, in Part 11 of Schedule 2 to this proclamation.
SCHEDULE 2 - Plans
PART 1 - Patriarchs Conservation Area
PART 2 - Sellars Lagoon Game Reserve
PART 3 - Lackrana Conservation Area
PART 4 - Logan Lagoon Conservation Area
PART 5 - Lime Pit Road Conservation Area
PART 6 - Shag Lagoon Conservation Area
PART 7 - Mulligans Hill Conservation Area
PART 8 - Summer Camp Conservation Area
PART 9 - Darling Range Conservation Area
PART 10 - The Dutchman Conservation Area
Displayed and numbered in accordance with the Rules Publication Act 1953.
Notified in the Gazette on 25 December 2002
This proclamation is administered in the Department of Tourism, Parks, Heritage and the Arts.








