Proclamation under the National Parks and Wildlife Act 1970
I, the Governor in and over the State of Tasmania and its Dependencies in the Commonwealth of Australia, acting with the advice of the Executive Council and with the approval of each House of Parliament, by this my proclamation made under section 16(1) of the National Parks and Wildlife Act 1970 declare that
13 June 2000(a) the area of land specified in Schedule 1 to this proclamation ceases to be reserved land; and(b) this proclamation takes effect on the day on which its making is notified in the Gazette.
G. S. M. GREEN
Governor
By His Excellency's Command,
D. E. LLEWELLYN
Minister for Primary Industries, Water and Environment
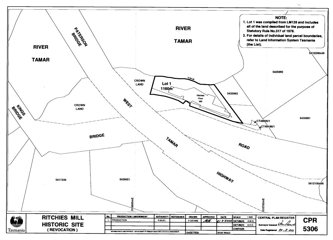
SCHEDULE 1 - Abolition of reserved landAll that area of land comprising about 1160 square metres in Bridge Road in Launceston City as shown bounded by heavy black lines on Plan Number 5306 in the Central Plan Register, a reduced copy of which is set out, by way of illustration only, in Schedule 2 to this proclamation.
SCHEDULE 2 - Plan
Displayed and numbered in accordance with the Rules Publication Act 1953.
Notified in the Gazette on 21 June 2000
This proclamation is administered in the Department of Primary Industries, Water and Environment.
